広島県尾道市美ノ郷町三成
地図を見る
- JR山陽本線「尾道」駅 バス30分「三美園バス」停徒歩4分
- おのみちバス「三美園」バス停 徒歩4分(約280m)
- 価格
-
930万円
ローンシミュレーション
- 土地面積
- 229.91㎡
- 坪数
- 約69.54坪
- 建築条件
- 建築条件なし
間取り図 / 区画図

セールスポイント
【特徴】
■土地面積:229.91㎡(約69.54坪)
■建築条件なし
【周辺環境】
■おのみちバス「三美園」バス停 徒歩4分(約280m)
■尾道市立栗原北小学校 徒歩13分(約1,000m)
■尾道市立栗原中学校 徒歩34分(約2,700m)
■アルゾ尾道店 徒歩23分(約1,800m)
■フードグランニチエー三成店 徒歩24分(約1,900m)
■ファミリーマート尾道美ノ郷店 徒歩19分(約1,500m)
■ウォンツ三成店 徒歩27分(約2,100m)
■尾道市立市民病院 徒歩34分(2,700m)
外観:2025年9月撮影
その他画像:2025年9月撮影
その他画像:2025年9月撮影
その他画像:2025年9月撮影
その他画像:2025年9月撮影
その他画像:2025年9月撮影
その他画像:2025年9月撮影
南側道路 東側から撮影
その他画像:2025年9月撮影
南側道路 西側から撮影
その他画像:2025年9月撮影
西側道路 南側から撮影
-

外観:2025年9月撮影
-

その他画像:2025年9月撮影
-

その他画像:2025年9月撮影
-

その他画像:2025年9月撮影
-

その他画像:2025年9月撮影
-

その他画像:2025年9月撮影
-

その他画像:2025年9月撮影
南側道路 東側から撮影
-

その他画像:2025年9月撮影
南側道路 西側から撮影
-

その他画像:2025年9月撮影
西側道路 南側から撮影
福山オフィス
阿慈谷 勇気
Yuki Ajitani
ご質問やご相談がございましたら、ぜひお気軽にお問い合わせください。
周辺環境
- 通学区情報
-
-
小学校
尾道市立栗原北小学校(約1000m)
-
中学校
尾道市立栗原中学校(約2700m)
- 周辺情報
-
-
スーパー
アルゾ尾道店(約1800m)
-
スーパー
フードグランニチエー三成店(約1900m)
-
コンビニ
ファミリーマート尾道美ノ郷店(約1500m)
-
その他商業施設
ウォンツ三成店(約2100m)
-
医療施設
尾道市立市民病院(約2700m)
GoogleMap
ストリートビュー
※GoogleMAPストリートビュー非対応の地域では場所が異なる場合がございます。
また、向き等により物件が正面にないケースや撮影日時の関係で物件や周辺環境が現状と異なる場合がございますので、予めご了承ください。
不動産用語集
物件概要
-
物件名
尾道市美ノ郷町三成
-
価格
930万円
-
所在地
広島県尾道市美ノ郷町三成
-
交通
JR山陽本線「尾道」駅
バス30分「三美園バス」停徒歩4分
おのみちバス「三美園」バス停 徒歩4分(約280m)
-
土地面積
229.91m²(約69.54坪)(公簿)
-
土地権利
所有権
-
地目
宅地
-
都市計画
市街化区域
-
国土法届出
不要
-
総区画数
-
-
用途地域
第一種中高層住居専用地域
-
建ぺい率
60%
-
容積率
200%
-
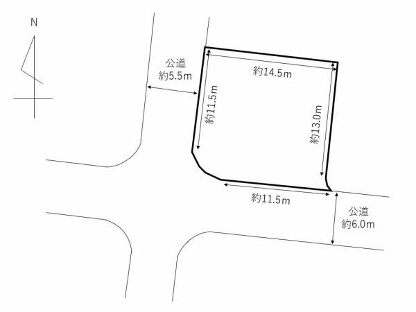
接道状況
接道状況:角地
南
6.00m
公道
間口11.5m
(接道舗装あり )
西
5.50m
公道
間口11.5m
(接道舗装あり 接道との段差あり )
-
建築条件
建築条件なし
-
現況
古家有
-
引渡時期
相談
-
引渡条件
更地渡し
-
設備・物件の特徴
-
-
小学校
尾道市立栗原北小学校(約1000m)
-
中学校
尾道市立栗原中学校(約2700m)
-
備考
注意事項:現況建物は解体更地渡し
道路斜線制限,隣地斜線制限,日影制限,景観法,宅地造成及び特定盛土等規制法
-
物件用途
-
-
取引態様
媒介
- 取引条件有効期限:2026/01/27
- 情報更新日:2026/01/13
- 次回更新予定日:2026/01/27
- ※図面と現況が異なる場合は、現況を優先します。
- ※写真に写っている、またはパース(絵)や間取り図に描かれている家具や車などは、特にコメントがない場合、販売価格に含まれません。
- ※完成予想図はいずれも外構、植栽、外観等実際のものとは多少異なることがあります。
- ※掲載物件については掲載期間中に成約済・売却中止になる場合もありますので予めご了承ください。
- ※取引態様の欄で「媒介」とある物件については仲介物件となりますので、価格の他に仲介手数料(及び消費税等)が必要となります。
- ※取引態様の欄で「売主」「代理」とある物件のうち、仲介業者が取引に関与する物件については、価格の他に仲介手数料(及び消費税等)が必要となります。
- ※掲載されている建物プラン例は一例であり、プランの採用可否は土地購入者の任意です。