神奈川県藤沢市川名
地図を見る
- JR東海道線「藤沢」駅 徒歩19分
- 小田急江ノ島線「藤沢」駅 徒歩19分
- 江ノ島電鉄「藤沢」駅 徒歩19分
- 価格
-
5,200万円
ローンシミュレーション
- 土地面積
- 126.92㎡
- 坪数
- 約38.39坪
- 建築条件
- 建築条件なし
間取り図 / 区画図

セールスポイント
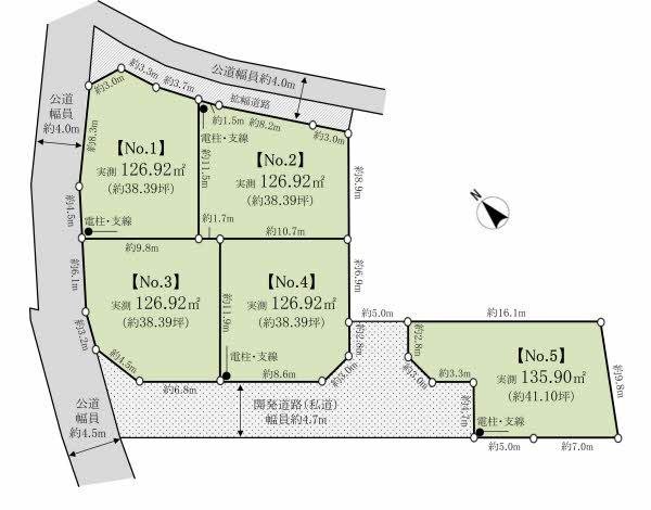
藤沢市川名 土地【No.2】
☆販売区画/全5区画
☆3路線利用可能!
☆建築条件はございません
~お好きなハウスメーカーにてご建築可能です~
外観:現地土地写真
外観:現地土地写真
前面道路含む外観:前面道路含む現地写真
北東側
前面道路含む外観:前面道路含む現地写真
北東側
全体区画図:その他
区画図
-

外観:現地土地写真
-

外観:現地土地写真
-

前面道路含む外観:前面道路含む現地写真
北東側
-

前面道路含む外観:前面道路含む現地写真
北東側
-

全体区画図:その他
区画図
藤沢営業所
石井 良太
Ryota Ishii
是非お気軽にお問い合わせください。
周辺環境
- 通学区情報
-
-
小学校
新林小学校(約970m)
-
中学校
村岡中学校(約1420m)
- 周辺情報
-
-
スーパー
ヤオコー藤沢片瀬店(約1620m)
-
コンビニ
セブンイレブン藤沢川名店(約480m)
-
病院
天本クリニック(内科・消化器科)(約770m)
-
その他
むらおか幼稚園(約1320m)
-
その他
さくらうみ保育園本園(約710m)
-
公園
奥田三角公園(約1120m)
不動産用語集
物件概要
-
物件名
藤沢市川名【No.2】
-
価格
5,200万円
-
所在地
神奈川県藤沢市川名
-
交通
JR東海道線「藤沢」駅
徒歩19分
小田急江ノ島線「藤沢」駅
徒歩19分
江ノ島電鉄「藤沢」駅
徒歩19分
-
土地面積
126.92m²(約38.39坪)(実測)
-
土地権利
所有権
-
地目
宅地
-
都市計画
市街化区域
-
国土法届出
不要
-
総区画数
5区画
-
用途地域
第一種住居地域
-
建ぺい率
60%
-
容積率
160%
-
接道状況
接道状況:一方
北東
4.00m
公道
間口12.7m
(接道舗装あり )
-
建築条件
建築条件なし
-
現況
更地
-
引渡時期
即日
-
引渡条件
更地渡し
-
設備・物件の特徴
公営水道
、本下水
、都市ガス
-
小学校
新林小学校(約970m)
-
中学校
村岡中学校(約1420m)
-
備考
注意事項:■景観法、宅地造成及び特定盛土等規制法、特定都市河川浸水被害対策法、都市再生特別措置法、日影規制
■開発許可番号:指令開業第7-15号
■開発変更許可番号:指令開業第7-68号
■造成工事完了時期:2026年2月下旬予定
■引渡時期:2026年2月下旬予定
■前面道路により容積率が200%から160%に制限されます。
■敷地内に電柱及び支線があります。
■敷地と道路に高低差があります。
■駅および周辺施設までの距離は、最も遠い区画からの距離を記載しています。
■司法書士売主指定
■都市ガス、公営水道、公共下水道
■総区画数:5/販売区画数:5
■全掲載写真(2025年12月撮影)
-
物件用途
-
-
取引態様
売主
- 取引条件有効期限:2026/03/16
- 情報更新日:2026/01/29
- 次回更新予定日:2026/03/16
- ※図面と現況が異なる場合は、現況を優先します。
- ※写真に写っている、またはパース(絵)や間取り図に描かれている家具や車などは、特にコメントがない場合、販売価格に含まれません。
- ※完成予想図はいずれも外構、植栽、外観等実際のものとは多少異なることがあります。
- ※掲載物件については掲載期間中に成約済・売却中止になる場合もありますので予めご了承ください。
- ※取引態様の欄で「媒介」とある物件については仲介物件となりますので、価格の他に仲介手数料(及び消費税等)が必要となります。
- ※取引態様の欄で「売主」「代理」とある物件のうち、仲介業者が取引に関与する物件については、価格の他に仲介手数料(及び消費税等)が必要となります。
- ※掲載されている建物プラン例は一例であり、プランの採用可否は土地購入者の任意です。