愛知県日進市赤池1丁目
地図を見る
- 鶴舞線「赤池」駅 徒歩5分(約360m)
- 豊田線「赤池」駅 徒歩5分(約360m)
- 価格
-
5,300万円
ローンシミュレーション
- 土地面積
- 214.28㎡
- 坪数
- 約64.81坪
- 建築条件
- 建築条件なし
間取り図 / 区画図

設備・仕様
- 電気
- 上水道
- 下水道
- 公営水道
- 本下水
- 側溝
- 都市ガス
セールスポイント
赤池駅徒歩5分。全2区画・敷地約64坪で多彩なプランニングに対応可能!
・ツルハドラッグ日進赤池店 徒歩8分
・日進赤池郵便局 徒歩7分
・あいち銀行赤池支店 徒歩5分
・中島公園 徒歩1分
・ローソン日進赤池一丁目店 徒歩5分
・並木病院(内科) 徒歩10分
外観:現地土地写真
「赤池」駅 徒歩5分。全2区画の分譲地に、約64.82坪のゆとりある敷地。
駅近立地でありながら、住まいのプランニングに応える整形区画。
前面道路含む外観:前面道路含む現地写真
建ぺい率60%の整形地。敷地に余白を持たせながら、建物配置の自由度も確保。暮らしにフィットする、実用性の高い区画です。
外観:現地土地写真
住環境と利便性のバランスがとれた「第二種住居地域」。
住居系用途を中心に、店舗や事務所なども建築可能なエリアです。
前面道路含む外観:前面道路含む現地写真
容積率200%。空間にゆとりを持たせた設計や将来の増改築にも対応。
家族の成長やライフスタイルの変化にしなやかに寄り添える敷地条件です。
外観:現地土地写真
本物件は都市計画区域内・市街化区域に指定されており、用途や建築の基準が整備された安心の住環境です。
前面道路含む外観:前面道路含む現地写真
ライフラインは区画ごとに引込状況が異なります。A区画は上下水道引込済、B区画は都市ガス引込済です。
それぞれの区画に応じたインフラ整備が行えます。
外観:現地土地写真
西側隣地よりコンクリートブロック等が一部越境していますが、令和7年2月3日付で覚書を取得済。
所有者間で対応方針が合意されています。
外観:現地土地写真
周辺には既に建物が建ち揃っており、陽当たりや開口部の向きに配慮した住まいの計画がしやすい区画です。
外観:現地土地写真
現況でのお引き渡しのため、すぐに建築プランのご相談が可能。初期費用を抑えて早期の住まいづくりを進められます。
外観:現地土地写真
周辺の街並みとあわせて、ぜひ現地をご覧ください。見学をご希望の際は、担当スタッフまでご連絡ください。
その他現地:その他
こちらの土地は、容積率200%です。空間を縦方向に活用でき、居住スペースを広くとることが可能です。
その他現地:その他
日進市立赤池小学校まで徒歩4分です。
その他現地:その他
中島公園まで徒歩1分。公園が目の前に広がる立地です。
その他現地:その他
名古屋市鶴舞線 「赤池」駅まで徒歩5分、
名鉄豊田線 「赤池」駅まで徒歩5分です。
その他現地:その他
セブンイレブン日進赤池3丁目店まで徒歩4分です。
その他現地:その他
名古屋市鶴舞線 ・名鉄豊田線の2沿線利用可能です。
その他現地:
■積水ハウス品質で「買いたい」と「売りたい」をサポートします。専門スタッフによる細かな調査。全国のネットワークを活かした豊富な情報力。スピーディーな対応で、不動産の売却と購入をサポートします。
-

外観:現地土地写真
「赤池」駅 徒歩5分。全2区画の分譲地に、約64.82坪のゆとりある敷地。
駅近立地でありながら、住まいのプランニングに応える整形区画。
-

前面道路含む外観:前面道路含む現地写真
建ぺい率60%の整形地。敷地に余白を持たせながら、建物配置の自由度も確保。暮らしにフィットする、実用性の高い区画です。
-

外観:現地土地写真
住環境と利便性のバランスがとれた「第二種住居地域」。
住居系用途を中心に、店舗や事務所なども建築可能なエリアです。
-

前面道路含む外観:前面道路含む現地写真
容積率200%。空間にゆとりを持たせた設計や将来の増改築にも対応。
家族の成長やライフスタイルの変化にしなやかに寄り添える敷地条件です。
-

外観:現地土地写真
本物件は都市計画区域内・市街化区域に指定されており、用途や建築の基準が整備された安心の住環境です。
-

前面道路含む外観:前面道路含む現地写真
ライフラインは区画ごとに引込状況が異なります。A区画は上下水道引込済、B区画は都市ガス引込済です。
それぞれの区画に応じたインフラ整備が行えます。
-

外観:現地土地写真
西側隣地よりコンクリートブロック等が一部越境していますが、令和7年2月3日付で覚書を取得済。
所有者間で対応方針が合意されています。
-

外観:現地土地写真
周辺には既に建物が建ち揃っており、陽当たりや開口部の向きに配慮した住まいの計画がしやすい区画です。
-

外観:現地土地写真
現況でのお引き渡しのため、すぐに建築プランのご相談が可能。初期費用を抑えて早期の住まいづくりを進められます。
-

外観:現地土地写真
周辺の街並みとあわせて、ぜひ現地をご覧ください。見学をご希望の際は、担当スタッフまでご連絡ください。
-

その他現地:その他
こちらの土地は、容積率200%です。空間を縦方向に活用でき、居住スペースを広くとることが可能です。
-

その他現地:その他
日進市立赤池小学校まで徒歩4分です。
-

その他現地:その他
中島公園まで徒歩1分。公園が目の前に広がる立地です。
-

その他現地:その他
名古屋市鶴舞線 「赤池」駅まで徒歩5分、
名鉄豊田線 「赤池」駅まで徒歩5分です。
-

その他現地:その他
セブンイレブン日進赤池3丁目店まで徒歩4分です。
-

その他現地:その他
名古屋市鶴舞線 ・名鉄豊田線の2沿線利用可能です。
-

その他現地:
■積水ハウス品質で「買いたい」と「売りたい」をサポートします。専門スタッフによる細かな調査。全国のネットワークを活かした豊富な情報力。スピーディーな対応で、不動産の売却と購入をサポートします。
名古屋西営業所
青木 政人
Masato Aoki
ご質問等ございましたらお気軽にお問い合わせください!
周辺環境
- 通学区情報
-
-
中学校
日進市立日進西中学校(約1371m)
■1984年(昭和59年)4月に創立された公立の中学校です。基礎学力の向上と豊かな人間性の育成を目指した教育を行っています。また、生徒の自主性や協調性を育む環境が整っています。
-
小学校
日進市立赤池小学校(約493m)
■2008年(平成20年)4月に創立された、公立小学校です。農園活動を通じた環境学習や、部活動・学校行事の充実にも力を注ぎ、生徒の自主性や協調性を育む多面的な教育を実践しています。
- 周辺情報
-
-
スーパー
ピアゴラフーズコア赤池店(約536m)
■生鮮食品から日用品まで幅広く取り揃えているスーパーマーケットです。駐車場も完備され、車での来店にも対応しています。営業時間は9:00から21:30までです。
-
コンビニ
セブンイレブン日進赤池3丁目店(約215m)
■最寄りのコンビニです。公共料金をはじめとするお支払いやチケットの発券、ATMやマルチコピー機の利用にも。24時間営業。駐車場完備。
-
ドラッグストア
ツルハドラッグ日進赤池店(約539m)
■医薬品や日用品、食品まで幅広く取り扱うドラッグストアです。調剤薬局を併設しており、処方箋の受付にも対応。営業時間は9:00から22:00です。
-
病院
医療法人並木会並木病院(約498m)
■内科を中心に、呼吸器内科、循環器内科、消化器内科、脳神経内科、皮膚科、リハビリテーション科など幅広い診療科を設置し、特に専門性の高い「物忘れ外来」「頭痛外来」なども提供している病院です。
-
郵便局
日進赤池郵便局(約561m)
■最寄りの郵便局。 郵便、ゆうちょ、保険、ATMなどのサービスを取り扱っています。窓口の営業時間は平日9:00~17:00です。
-
銀行
愛知銀行赤池支店(約481m)
■ローンプラザ併設店舗です。営業時間は窓口・ローンプラザが平日 9:00~15:00、ATMは毎日 8:00~21:00(平日・土曜・日曜・祝日とも)です。
-
公園
中島公園(約78m)
■地域密着型の街区公園です。敷地内には滑り台やバケット型ブランコなど子ども向けの遊具が揃い、小さな橋やログハウス風のあずまやも設けられており、遊びながら自然と触れ合える環境が整っています。
GoogleMap
ストリートビュー
※GoogleMAPストリートビュー非対応の地域では場所が異なる場合がございます。
また、向き等により物件が正面にないケースや撮影日時の関係で物件や周辺環境が現状と異なる場合がございますので、予めご了承ください。
不動産用語集
物件概要
-
物件名
日進市赤池一丁目B区画
-
価格
5,300万円
-
所在地
愛知県日進市赤池1丁目
-
交通
鶴舞線「赤池」駅
徒歩5分(約360m)
豊田線「赤池」駅
徒歩5分(約360m)
-
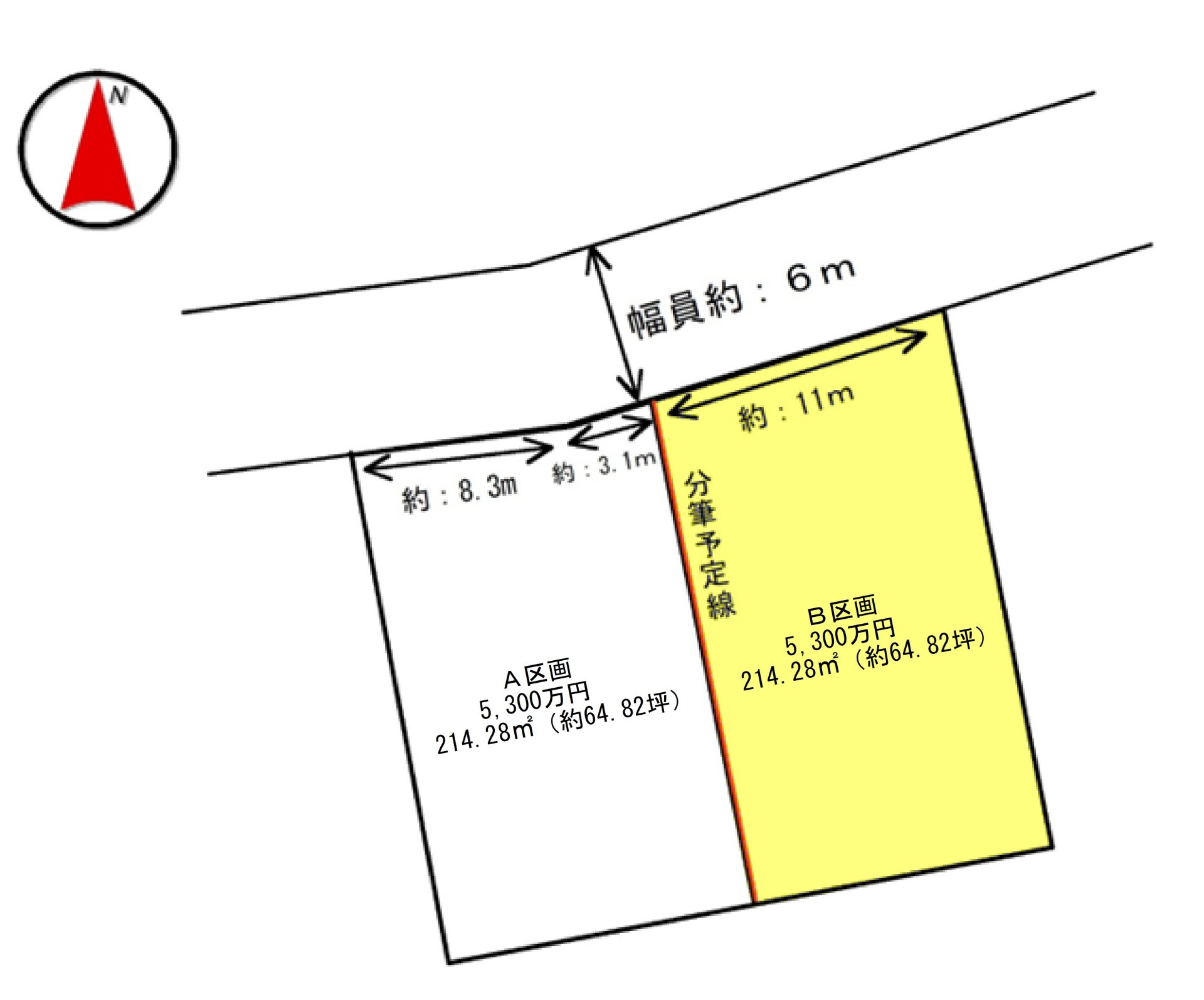
土地面積
214.28m²(約64.81坪)(実測)
-
土地権利
所有権
-
地目
宅地
-
都市計画
市街化区域
-
国土法届出
不要
-
総区画数
2区画
-
用途地域
第二種住居地域
-
建ぺい率
60%
-
容積率
200%
-
接道状況
接道状況:一方
北
6.00m
公道
間口11.0m
-
建築条件
建築条件なし
-
現況
更地
-
引渡時期
相談
-
引渡条件
現況渡し
-
設備・物件の特徴
電気
、上水道
、下水道
、公営水道
、本下水
、側溝
、都市ガス
-
小学校
日進市立赤池小学校(約493m)
-
中学校
日進市立日進西中学校(約1371m)
-
備考
注意事項:建基法第22条指定,道路斜線制限,隣地斜線制限,
日影制限,宅地造成及び特定盛土等規制法
●総区画数:2(販売区画数:2)
●B区画:公営水道・公共下水 引込無 都市ガス 引込有
●土地面積は分筆案に基づく面積です。分筆後、
面積が増減する可能性があります。
●B区画:北側道路面と並行に約53.97㎡、それより約90cm高い約160.31㎡(傾斜地部分22.49㎡含む)の二段宅地
-
物件用途
-
-
取引態様
売主
- 取引条件有効期限:2026/05/02
- 情報更新日:2026/04/18
- 次回更新予定日:2026/05/02
- ※図面と現況が異なる場合は、現況を優先します。
- ※写真に写っている、またはパース(絵)や間取り図に描かれている家具や車などは、特にコメントがない場合、販売価格に含まれません。
- ※完成予想図はいずれも外構、植栽、外観等実際のものとは多少異なることがあります。
- ※掲載物件については掲載期間中に成約済・売却中止になる場合もありますので予めご了承ください。
- ※取引態様の欄で「媒介」とある物件については仲介物件となりますので、価格の他に仲介手数料(及び消費税等)が必要となります。
- ※取引態様の欄で「売主」「代理」とある物件のうち、仲介業者が取引に関与する物件については、価格の他に仲介手数料(及び消費税等)が必要となります。
- ※掲載されている建物プラン例は一例であり、プランの採用可否は土地購入者の任意です。